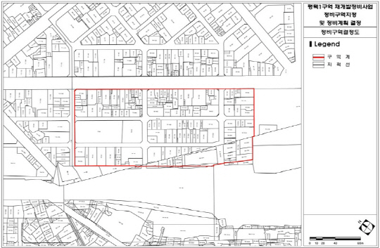
평택1구역 재개발정비사업 정비구역 결정도
평택1구역 재개발정비사업 정비구역 결정도
경기 평택시 평택동 일원에 호텔, 오피스텔, 1800여 세대 공동주택이 포함된 주상복합단지를 건설하는 재개발 사업이 본격적으로 추진된다.

1일 평택시에 따르면 지난 7월 28일 평택1구역 재개발 사업에 대해 정비계획 결정 및 정비구역 지정을 고시했다고 밝혔다(평택시 고시 제 2023-282호). 정비구역은 도시 및 주거환경정비법에 의거, 정비사업을 계획적으로 시행하기 위한 구역으로, 지정권자가 적합한 범위에서 정비계획을 결정하여 정비 구역을 지정, 고시를 할 수 있다.

이번 고시는 지난 14일, 이 구역의 정비 계획에 대한 주민 공람공고가 마무리되고, 지난주 시의회 의견 청취 후에 이뤄진 조치로, 지정권자인 평택시장이 이 구역을 정비구역으로 지정, 고시하면서 이 일대는 본격적으로 재개발 사업이 진행된다는 의미이다.

고시문에 따르면 평택1구역 면적은 33,814㎡으로, 획지(주상복합용지와 호텔)가 22,534㎡(66.6%), 정비기반시설은 11,280㎡(도로6,000㎡, 공3,360㎡, 녹지1,920㎡) 등으로 이뤄져 있고, 계획 용적률은 1,190% 이하, 법적상한용적률은 1,300% 이하, 최고 층수는 56층 이하 등으로 계획되며, 전체 건립 세대 1,757세대 중 80% 이상이 전용면적 85㎡ 이하 규모의 주택으로 건설된다.

평택1구역 재개발정비사업 조감도
평택1구역 재개발정비사업 조감도
평택1구역은 평택동 일원에 위치한 일반상업지역으로, '2035 평택도시기본계획'에서 도시의 균형발전을 위한 4대 추진 전략 중 하나인 '구·신시가지의 생활 기반 격차 완화'를 목표로 추진되는 재개발 정비사업 구역으로, 2021년 6월에 정비예정구역으로 지정되면서 사업의 법적인 근거가 마련되었다.

그 후 21년 11월에 전체 토지등소유자 322명 중 67.39%인 217명, 면적기준 50.13%인 16,952㎡ 동의를 얻어 비티승원개발이 토지등소유자 자격으로 정비계획 수립 및 정비구역 지정에 대한 주민 제안 입안을 하고, 22년 초 평택시가 그 제안을 수용하면서 시작되었다. 같은해 11월 경관심의 통과, 올해 3월 도시계획심의를 통과한 후 오늘에 이르렀으며, 향후 일정은 재개발사업 절차에 따라 사업자 지정, 사업시행인가, 관리처분계획 인가 등을 거쳐 착공될 예정이다.

이 구역은 구도심임에도 상권이 활성화되어 있고, 평택역, 시외버스터미널 등이 인접한 곳에 위치하고 있으며, 특히 평택역을 이용하는 유동인구가 일평균 2만명이 넘을 정도로 교통의 요충지이자 평택의 관문인 곳이다. 그러나 이 일대 주택과 상가들이 점점 노후화되어 가고 있고 성매매 집창촌인 일명 '삼리'가 있어 개발의 필요성이 꾸준히 제기돼 왔지만 이해관계가 복잡하게 얽혀 있어 지난 20여 년간 수차례 개발사업이 추진됐으나 번번이 실패해 왔다.

시 관계자는 "평택역은 평택을 대표하는 상징성을 갖고 있으나 오랜 기간 자리잡고 있던 홍등가 등으로 인해 평택의 이미지가 훼손되고 있다는 지적이 있어 왔다"며 "평택1구역 등 역세권 개발사업이 완료되면 평택역 일대는 브랜드파워 1위 도시에 걸맞는 평택의 랜드마크로 자리매김할 것이다"라고 말했다.

비티승원개발 관계자는 "최근 원자재 증가로 인한 공사비 증가, 부동산 경기 불황 등 외부환경이 좋지 않아 우려가 되는 것은 사실이다"며 "그러나 평택역 일대가 교통의 요충지로서의 옛 명성을 되찾기를 바라는 평택시와 시민의 기대에 부응할 수 있도록 노력하겠다"고 덧붙혔다.

행정 절차들이 계획대로 진행되면 2025년 상반기에 착공하여, 이 일대는 1800여 세대의 공동주택과 오피스텔, 호텔 등의 상업시설들을 포함된 지하 6층, 지상 46~56층인 8개동의 주상복합단지가 들어설 예정이다.

장환순기자 janghs@dt.co.kr

[저작권자 ⓒ디지털타임스 무단 전재-재배포 금지]

기사 추천

  • 추천해요 0
  • 좋아요 0
  • 감동이에요 0
  • 화나요 0
  • 슬퍼요 0